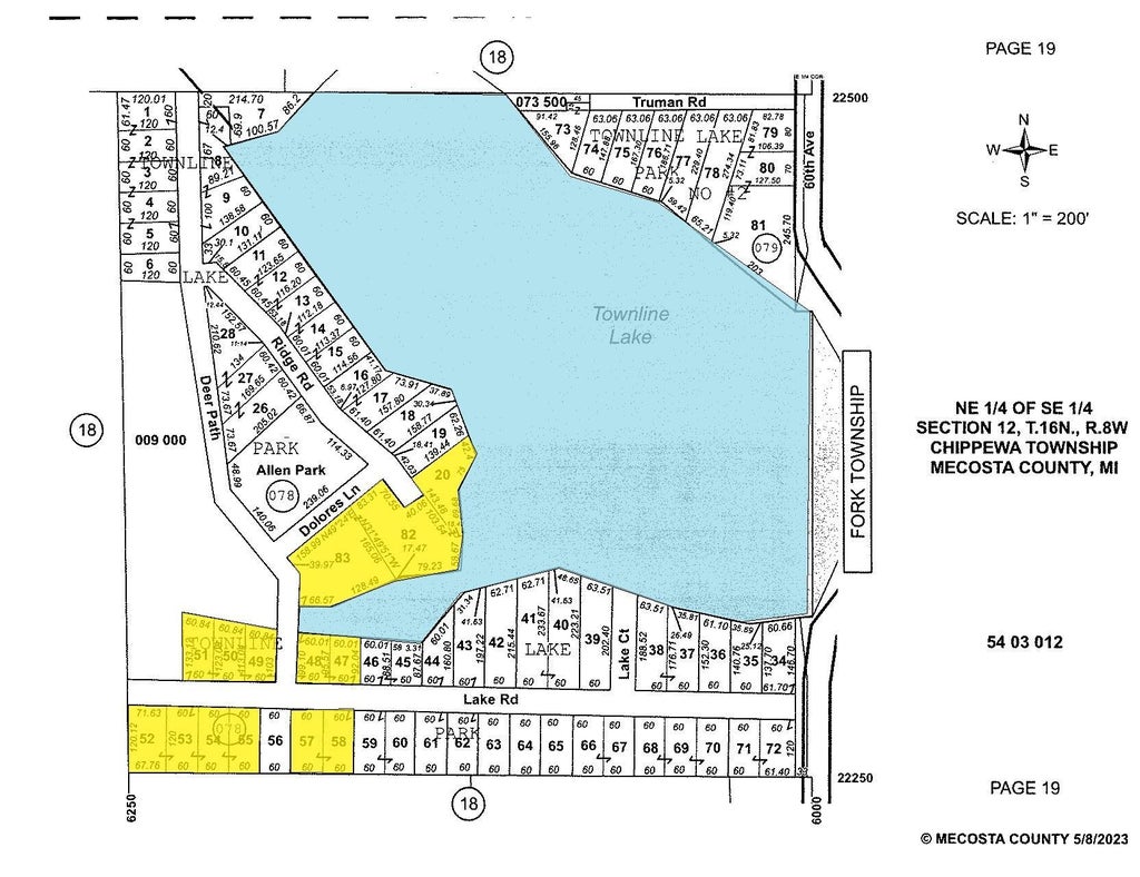
About 00-2 Lake Road
This property presents an opportunity for anyone looking to enjoy a waterfront escape or investment. With a total of 3.21 acres comprised of 14 lots, there's ample space to build a cottage, cabin, or home. The combination of 577 feet of water frontage and 901 feet of road frontage ensures both privacy and accessibility. The potential for a pole barn or storage building adds to the practicality of the site, making it suitable for various uses. The possibility of a short-term land contract can make this opportunity even more attractive, and the listing agent can provide details regarding camping permit requirements. This location near Town Line Lake in Barryton is ideal for those seeking a peaceful retreat or a place to enjoy outdoor activities.
Features of 00-2 Lake Road
| MLS® # | 72024033455 |
|---|---|
| Price | $39,900 |
| Bathrooms | 0.00 |
| Acres | 3.21 |
| Type | Vacant Land |
| Status | Active |
Community Information
| Address | 00-2 Lake Road |
|---|---|
| Area | 54231 - Chippewa Twp |
| City | Chippewa township |
| County | Mecosta |
| State | Michigan |
| Zip Code | 49305 |
Amenities
| Is Waterfront | Yes |
|---|---|
| Waterfront | Channel, Lake Front, No Motor Lake, Private Water Frontage |
| Has Pool | No |
Interior
| Fireplace | No |
|---|
Exterior
| Lot Description | Buildable, Other, Wetlands |
|---|
School Information
| District | Chippewa Hills |
|---|
Additional Information
| Foreclosure | No |
|---|---|
| Short Sale | No |
| RE / Bank Owned | No |
Listing Details
| Office | Century 21 White House Realty |
|---|---|
| Contact Info | lauckner.c21@gmail.com |
